Menu
Obec Bystřice pod Lopeníkem
Bystřice pod Lopeníkem

Výkopové práce - SVK

lmapa oprav

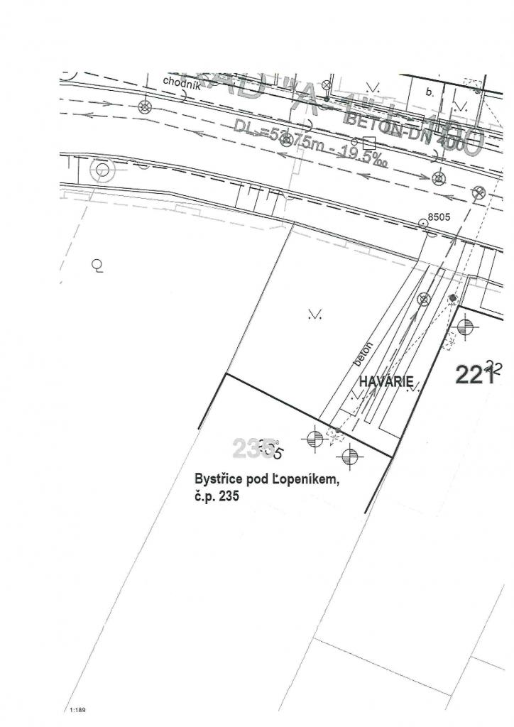
Slovácké vodárny a kanalizace oznamují provádění výkopových prací za účelem opravy havárie v Bystřici pod Lopeníkem č.p. 235.

lmapa oprav

Datum vložení: 10. 7. 2023 14:45
Datum poslední aktualizace: 10. 7. 2023 15:00
Autor: Správce Webu

Aktuálně

Mobilní aplikace

mobilní aplikace

Sledujte informace z našeho webu v mobilní aplikaci – V OBRAZE.

Muzeum

Muzeum

Mikroregion

Východní Slovácko

Fotogalerie

Nejoblíbenější fotogalerie

Kalendář

Listopad2025
Po Út St Čt So Ne
27 28 29 30 31 1 2
3 4 5 6 7 8 9
10 11 12 13 14 15 16
17 18 19 20 21 22 23
24 25 26 27 28 29 30

Aktuální počasí

dnes, úterý 18. 11. 2025
slabý déšť 4 °C 0 °C
středa 19. 11. jasno 4/-1 °C
čtvrtek 20. 11. mírné sněžení 3/1 °C
pátek 21. 11. zataženo 2/0 °C

Povodňový plán

Výsledek obrázku pro OBR DIGITÁLNÍ POVODŃOVÝ PLÁN